Essential information
-
Transaction Type For saleBuilding Type RetailBusiness TypeOwnership Condominium/StrataListing ContractDate UnknownParkingSpace Total 0
Business presentation
-
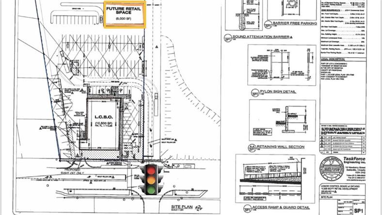
位于距离多伦多300余公里,著名旅游圣地千岛湖及皇后大学所在地的安大略省金斯顿市。物业地处金斯顿市商业区,旁边均为大型零售连锁,包括Walmart、Loblaws、Canadian Tire、Lowes等。建筑建于2007年,专供于LCBO使用,且LCBO承担非结构性维修、保养、更换零部件等职责。
物业占地面积2.35英亩(约合中国14.26亩),建筑面积10,500平方尺(约合975.5平方米),且有约5,000尺的可扩展空间。拥有85个室外停车车位,独立停车场进出。现租赁合同至2022年四月底,租客拥有2x5年的续约权限。现年净收入$241,500加币,要价$4,825,000加币。
Building information
-
Constructed Date 2018Construction Status NewConstruction Style Attachment UnknownStorage TypeTotal Buildings 0Clear Ceiling Height 0Heating TypeCooling TypeFire ProtectionFireplace Total 0Size Total 0sq.ftSize Exterior 0sq.ftSize Interior 0sq.ftParking Space Total 0
写留言
-
*
0/500
-
留言之前,您同意加拿大时讯的
使用和隐私政策条款

